조황관리HOME / 조황관리 / 상세정보

제목 : 3월14일(토) 오천항 비엔나호 우럭라이트지깅 조황
등록일 : 2026-03-14



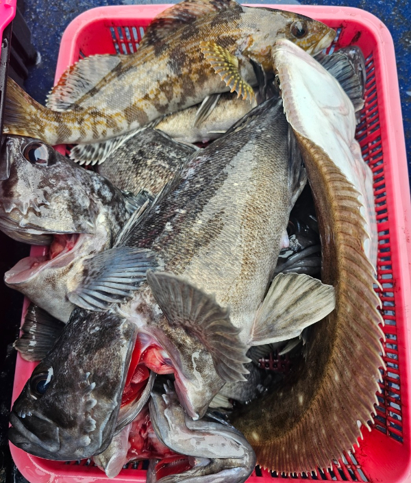
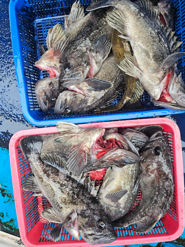
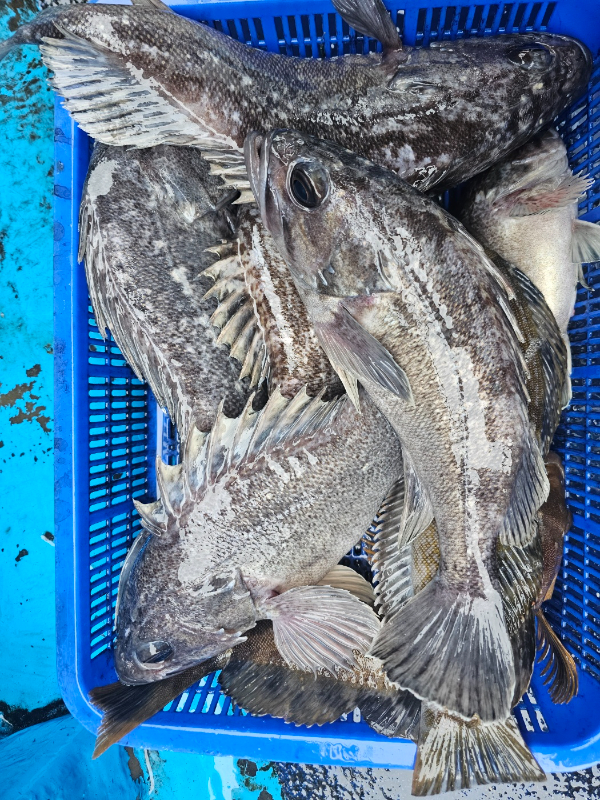
날이 많이 풀려서 다니기 좋았습니다

회원님들 모두 안내를 잘 따라주기도 했지만 다들 솜씨도 좋으시네요

마릿수도 좋았고 대체로 큰게 고루게 나와주어 시간 내내 재밌었습니다.

수고많으셨습니다~ 감사합니다 ^^


1.jpg


2.jpg


7.jpg


9.jpg


12.jpg


13.jpg


15.jpg


16.jpg


19.jpg


20.jpg


22.jpg


23.jpg


25.jpg


26.jpg


28.jpg


35.jpg


KakaoTalk_20260314_183057599.jpg


KakaoTalk_20260314_183147931.jpg
 



*** 오천항 비엔나호 예약 문의 ***

▶ 문의전화 : 010-4110-5674

▶ 출 조 점  : 충남 보령시 오천면 충청수영로 659 (피싱아지트&CU편의점)

▶ 배타는곳 : 충남 보령시 오천면 소성안길 70 (부흥석유 주차장) 

▶ 홈페이지 : https://vinaho.sunsang24.com/ 

▶ 밴       드 : https://band.us/@vinaho
▶ 
이버카페: https://cafe.naver.com/qkckctk
▶ 블 로 그    : https://blog.naver.com/hellomk2
 

모바일.gif 


Top